こだわり診療
整形へのこだわり


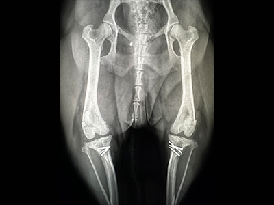
当院では、骨折・脱臼・椎間板ヘルニア・リウマチ性関節炎などの整形外科疾患に対して、専門医による幅広い診療を行っています。
人間でも「腰が痛い」「骨に違和感がある」といったときは、内科ではなく整形外科を受診します。
それは、「骨と関節の問題は、骨の専門家に診てもらうべき」という認識があるからです。
動物も同じです。当院では、より的確な診断と最善の治療のために、骨と関節のスペシャリストに診てもらう体制を整えています。
手術が必要な症例はもちろん、慢性的な痛みや関節の違和感など、内科的な管理が必要なケースについても対応できるよう、DVMsどうぶつ医療センター横浜 整形外科医長・伊澤 幸甫先生を定期的(毎週月曜日)にお招きし、診断・治療を行っています。
伊澤先生はこれまでの豊富な臨床経験と大学での研究活動をもとに、一頭一頭に合わせたオーダーメイドの治療を行っており、痛みの軽減とQOL(生活の質)の向上を第一に考えた診療を大切にしています。
「歩き方が気になる」「最近あまり動かない」「なんとなく様子が変」――そんな時は、どんな小さなことでも構いません。
お気軽にご相談ください。
詳しい診療内容・実績・手術・症例については、下記の専用ページをご覧ください。
歯科へのこだわり

犬や猫のお口のトラブルは、見た目では分かりにくいけれど、痛みや不調の大きな原因になることが多い分野です。当院では、歯の健康を守ることが動物のQOL向上につながると考え、歯科診療にも力を入れています。
歯科専用レントゲンを完備
一般的な動物病院では導入されていないことも多い歯科専用のレントゲン機器を完備しています。これにより、歯の根や顎の骨など、肉眼では見えない異常も的確に把握でき、より精密な診断と治療が可能です。
歯科に精通した獣医師と連携
重度の歯周病や吸収病巣、根管治療などが必要な場合には、歯科診療に精通した倉本 聡先生をお招きし、院内での専門治療を行っています。倉本先生は、豊富な臨床経験と歯科分野での高度な研修実績をお持ちの獣医師です。
「口が臭う」「ごはんを食べづらそう」「歯がグラグラしている」――そんな時は、どんな小さなことでも構いません。
お気軽にご相談ください。
※詳しい略歴や診療内容は、下記の専用ページをご覧ください。
救急対応へのこだわり

突然の体調不良や事故――そんな「もしも」の時、どこへ連絡すればいいか迷った経験はありませんか?
当院では、かかりつけ動物病院としての安心を守るために、救急対応にも力を入れています。
嘔吐や下痢、呼吸困難、けいれん発作、異物誤飲、ケガ、急な衰弱など、日常で起こり得るさまざまな緊急症例に対応しています。
重症度に応じた「トリアージ」を実施
救急時には、受付時に「トリアージ(重症度の判断と優先順位の決定)」を行い、緊急性の高い症例にはすぐに診察・治療を開始できる体制を整えています。
一分一秒が大切な救急の現場で、動物の命を守るために最も必要な判断を的確に行うことを心がけています。
また、診察の難しい重篤な症例や、より専門的な治療が必要な場合には、高度医療施設への紹介も迅速に対応。
「いつもの病院で、いざという時にも頼れる」――そんな存在でありたいと私たちは考えています。
「ぐったりしている」「いつもと様子が違う」「これって緊急?」――そんな時は、どんな小さな不安でも構いません。
迷ったら、まずはお電話でご相談ください。 それが大切な命を守る第一歩です。
※診療時間・緊急時のご連絡先については、こちらをご覧ください。
健康診断のこだわり

「若いから健康診断は必要ない」
「元気だから問題ない」
そんな声を飼い主のみならず獣医さんからもよくお聞きします。
しかし、犬や猫は不調を隠す習性があるため、見た目だけでは健康かどうか判断できません。
特に純血種のワンちゃん・ネコちゃんには、生まれつきの病気が潜んでいることもあり、若齢期からのチェックが非常に重要です。
1歳や2歳でも、健康診断で早期に異常を見つけられることがあります。
だからこそ当院では、すべての年齢の犬猫に、毎年の健康診断をおすすめしています。
一般的な健診とは“ここが違う
当院の健康診断では、血液・尿・超音波などの基本的な検査に加えて、関節のレントゲン撮影も実施しています。
これは、「将来の痛みや歩行の問題を早期に発見したい」という想いからです。
また、口腔内チェックもしっかり行い、見落とされがちな歯の病気の早期発見にも力を入れています。
「健康診断=内臓のチェック」だけにとどまらず、骨や関節、歯までを含めたトータルケアを実現しています。
痛みや病気の早期発見こそが、本当の“予防”
健康診断で異常を早期に見つけ、まだ症状が出ていないうちから治療や管理を始めることが、動物たちの健康寿命を延ばす最良の手段です。
特に痛みのある状態は、動物にとって大きなストレスとなるため、早く気づいてあげたい――それが私たちの願いです。
年齢・状態に応じたコースをご用意
当院では、体の状態やライフステージに応じて、3種類の健康診断コースをご用意しています。
関節のレントゲンまで含まれる「あんしんコース」や、より詳しい項目まで網羅した「しっかりコース」など、目的に合わせてお選びいただけます。
さらに、誕生月にはお得に受けられるキャンペーンも実施中です。
詳しい内容・検査項目・料金などは、以下のリンクよりご確認ください。
パピーへのこだわり

子犬の時期は、心と体の発達にとって最も重要な時期です。
この時期に「何を経験するか」が、その子の一生に大きな影響を与えます。
当院では、ただの診療ではなく、“育てるサポート”にも力を入れています。
飼い主様と一緒に、楽しく、そして安心して子犬の成長を見守れるよう努めています。
パピーパーティーで学べる「育て方」
当院では定期的にパピーパーティーを開催しています。
遊びを通じて学ぶことがたくさんあります。
- 他の犬や人との接し方(社会化)
- ご家庭での接し方やしつけの基本
- 病院や診察への慣れ
“怖がり”や“吠えグセ”を予防するための第一歩として、子犬のうちにさまざまな経験を積ませることがとても大切です。
子犬期のトリミング体験も大切に
当院では、子犬のうちから優しく、無理のないトリミングを行うことで、「シャンプーが嫌い」「足を触られると怒る」などの苦手意識を防ぎます。
将来的に通院や処置が必要になった時も、“触られるのが平気な子”に育てることができるようサポートしています。
健康面も、将来を見据えて
成長段階に合わせた健康チェック・ワクチン・予防医療も、獣医師が丁寧にご案内いたします。
子犬期から健康を「守る習慣」を身につけることが、一生の安心につながります。
「どう育てたらいいか不安」
「これで合ってるのかな…?」
そんな時は、どんなことでも遠慮なくご相談ください。
当院は“治す”だけでなく、“育てる”を応援する動物病院です。